Dự án EB-5 Group 102 Hillwood Park không chỉ là dự án EB-5, mà còn là lựa chọn an toàn để gia đình quý nhà đầu tư định cư Mỹ. Với sự kết hợp giữa vị trí đắc địa, chủ đầu tư uy tín và cấu trúc vốn minh bạch, đây chính là giải pháp đầu tư được khuyến nghị lựa chọn trước thềm 30/09/2026.

Tổng quan dự án
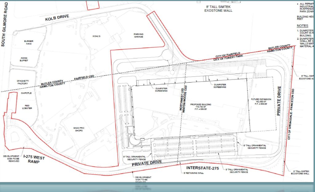
Hillwood Park 275 – CMB Group 102 là dự án EB-5 hạ tầng chiến lược được phát triển bởi chủ đầu tư và đơn vị quản lý giàu kinh nghiệm. Với vị trí kết nối thương mại trọng yếu và hồ sơ pháp lý minh bạch, dự án mang đến lựa chọn EB-5 an toàn và đáng tin cậy cho nhà đầu tư đang tìm kiếm giải pháp định cư Mỹ. Hillwood Park 275 là dự án phát triển cơ sở hạ tầng logistics và trung tâm phân phối hạng A hiện đại. Dự án tọa lạc tại vị trí chiến lược gần trục đường huyết mạch I-275 – South Gilmore Road, thuộc khu vực Cincinnati, cửa ngõ giao thương trọng điểm của Hoa Kỳ.
- Chủ đầu tư: Tập đoàn Hillwood (Top 10 nhà phát triển bất động sản hàng đầu Mỹ)
- Trung tâm vùng CMB Regional đơn vị có lịch sử 29 năm với hơn 5.700 phê duyệt đơn I-526/I-526E
- Loại hình: Xây dựng một trung tâm phân phối theo yêu cầu (build-to-suit distribution center
- Vị trí chiến lược: 550 Forest Fair Drive, Fairfield, Ohio (Phía Bắc Cincinnati). Nằm sát trục lộ huyết mạch I-275, cửa ngõ giao thương trọng điểm của Hoa Kỳ
- Quy mô: 6.495 m2 (715.736 feet vuông) với khả năng mở rộng thêm 164.000 foot vuông
- Khách thuê chiến lược: The Hillman Group – Tập đoàn cung ứng giải pháp phần cứng hàng đầu Bắc Mỹ (thành lập từ 1964) đã ký hợp đồng thuê dài hạn 183 tháng
- Tình trạng pháp lý: Thuộc vùng TEA, ưu tiên cấp Visa EB-5 theo hạn ngạch riêng và hưởng mức đầu tư ưu đãi 800.000 USD
- Khả năng tạo việc làm: 12.11 việc làm/nhà đầu tư, vượt yêu cầu tối thiểu của Chương trình EB-5
- Thời điểm dự kiến hoàn thành: Tháng 5/2027
Tổng quan về đầu tư EB-5
- Mức đầu tư: 800.000 USD (thuộc vùng TEA – khu vực ưu tiên)
- Tổng số suất đầu tư: 46
- Dự kiến tạo ra 557 việc làm (tương đương 12.11 việc làm/nhà đầu tư). Thặng dư việc làm lên đến 21,1% so với yêu cầu của Sở Di trú Mỹ (USCIS)
Vị trí dự án
Dự án Group 102 Hillwood Park sở hữu vị thế đắc địa tại cửa ngõ thương mại trọng điểm của Cincinnati, bang Ohio, ngay sát trục lộ huyết mạch I-275. Đây là khu vực hạ tầng logistics hạng A được quy hoạch bài bản, tối ưu hóa khả năng kết nối và luân chuyển hàng hóa xuyên suốt các bang tại Hoa Kỳ.
Dự án được triển khai theo mô hình Build-to-suit – xây dựng theo tiêu chuẩn kỹ thuật chuyên biệt, đáp ứng hoàn hảo nhu cầu vận hành của các tập đoàn lớn. Đặc biệt, việc tọa lạc tại vùng ưu tiên (TEA) không chỉ mang lại lợi thế về mức đầu tư ưu đãi 800.000 USD, mà còn mở ra lộ trình xét duyệt hồ sơ nhanh chóng từ Sở Di trú Mỹ (USCIS).
Sự kết hợp giữa hạ tầng hiện đại, vị trí giao thương chiến lược và chính sách ưu tiên của Chính phủ chính là bảo chứng vững chắc nhất cho tiềm năng tăng trưởng và tính khả thi của dự án trong dài hạn.

Tiến độ xây dựng
- Phê duyệt quy hoạch: 21/07/2025
- Bắt đầu phá dỡ: Tháng 09/2025 – Tháng 04/2026
- Bắt đầu xây dựng phần thân: Tháng 07/2026
- Hoàn thành cơ bản: Tháng 05/2027
Cấu trúc vốn
- Vốn EB-5 (Nhóm 102): 36.800.000 USD (Chiếm 48%)
- Vốn vay ưu tiên (Senior Loan): 31.908.548 USD (Chiếm 42%)
- Vốn chủ sở hữu của Hillwood: 7.728.000 USD (Chiếm 10%)

Dự án EB-5 an toàn thẻ xanh Mỹ và hoàn vốn đầu tư
- Dự án nằm trong khu vực có tỷ lệ thất nghiệp cao, đủ điều kiện cho mức đầu tư thấp hơn và được ưu tiên xét duyệt theo luật mới (RIA)
- Dự kiến tạo ra 557 việc làm, vượt 21,1% so với yêu cầu của Sở Di trú (Yêu cầu 460 việc làm cho 46 nhà đầu tư)
- Tập đoàn The Hillman Group đã ký hợp đồng thuê dài hạn (183 tháng)
- Chiến lược hoàn trả vốn vay EB-5 rõ ràng thông qua việc tái cấp vốn hoặc bán tài sản
Đơn vị phát triển và xây dựng dự án giàu kinh nghiệm
Dự án CMB Group 102 đánh dấu cột mốc hợp tác lần thứ 46 giữa Trung tâm vùng CMB và Hillwood Development – nhà phát triển bất động sản hàng đầu Hoa Kỳ. Minh chứng cho sự thành công của mối quan hệ chiến lược này chính là những con số biết nói:
- Hơn 43 dự án đã nhận được chấp thuận đơn I-526/I-526E
- Hơn 27 dự án đã được hoàn vốn
- Hơn 24 dự án đã được chấp thuận đơn I-829
Đơn vị phát triển Hillwood Development – Top 10 công ty bất động sản uy tín và hàng đầu của Mỹ
Được thành lập bởi Ross Perot, Jr., Hillwood Development khẳng định vị thế là một trong những định chế phát triển bất động sản thương mại uy tín và quy mô bậc nhất tại Mỹ. Với bề dày hơn 35 năm kinh nghiệm, Hillwood không chỉ sở hữu năng lực tài chính hùng mạnh mà còn nổi tiếng với kỷ luật thực thi dự án nghiêm ngặt, đảm bảo bàn giao đúng tiến độ và chất lượng vượt trội.
Danh mục khách hàng của tập đoàn bao gồm hơn 90 đơn vị thuộc danh sách Fortune 500 như Amazon, FedEx và Walmart, minh chứng cho sự tin tưởng của các tập đoàn đa quốc gia vào khả năng vận hành của Hillwood. Sự hiện diện của Hillwood trong dự án này chính là sự bảo chứng cho tính khả thi và chất lượng hạ tầng cao nhất, đáp ứng kỳ vọng của các nhà đầu tư quốc tế.
Trung tâm vùng CMB dẫn đầu lĩnh vực EB-5, +29 năm thành lập
Trung tâm vùng CMB với quy mô lớn, uy tín và thành tích vượt trội về EB-5 với +29 năm kinh nghiệm, 17 trung tâm vùng trải rộng khắp 24 tiểu bang và Washington D.C.
- 5.700+ đơn I-526/I-526E của nhà đầu tư EB-5 vào dự án của CMB được Sở Di trú Mỹ chấp thuận
- 3.200+ đơn I-829 của nhà đầu tư EB-5 vào dự án của CMB được USCIS chấp thuận
- 6.700+ gia đình EB-5 trên hơn 100 quốc gia đã lựa chọn đầu tư vào dự án CMB
- 1,5+ tỷ USD vốn EB-5 đã hoàn trả
- 100% dự án kêu gọi được Sở Di trú Mỹ phê duyệt
Kể từ năm 2014, tất cả dữ liệu tài chính và thành tích của các Hợp Danh CMB được kiểm toán hàng năm bởi Công ty kiểm toán bên thứ 3 độc lập.
Với diện visa EB-5, nhà đầu tư không cần bằng cấp, không cần kinh nghiệm quản lý, không cần trực tiếp điều hành doanh nghiệp – chỉ cần vốn hợp pháp và chọn đúng dự án uy tín.
Khi lựa chọn dự án để tham gia chương trình đầu tư định cư Mỹ EB-5, nhà đầu tư cần lựa chọn cho mình một công ty tư vấn định cư Mỹ để được đảm bảo các yếu tố quan trọng để có thể nhận được thẻ xanh và hoàn vốn thành công. Quý nhà đầu tư muốn tìm hiểu thêm về dự án, liên hệ NVS theo hotline 0914.137.699 để được tư vấn và hỗ trợ thêm thông tin.






